I sommar vart barndomsheimen min selt. I løpet av prosessen lærte alle at overføring av gamle kartoppmålingar (1964) til dagens digitale kart hos Kartverket kan vere svært lite presise. Ikkje bli overraska om grensene i det digitale kartet for eldre eigedomar har feilmarginar på over 5 meter!
Til høgre har eg lagt ved eit utsnitt frå det som var lagt inn som vestre grensa på eigedomen i det digitale kartet hos Kartverket. Mor mi reagerte på at det nordre hjørnet var plassert feil. Sidan tomta vart utskilt til far min, har vi alle vore kjent med at grensa var meir inn mot midten av huset over. Mi eiga oppfatning var at grensa starta ein plass i nærleiken av den venstre, raude streken, som symboliserer arken på huset. Nabo var òg av oppfatning at grensa starta meir mot midten av huset, litt innom mi oppfatning.
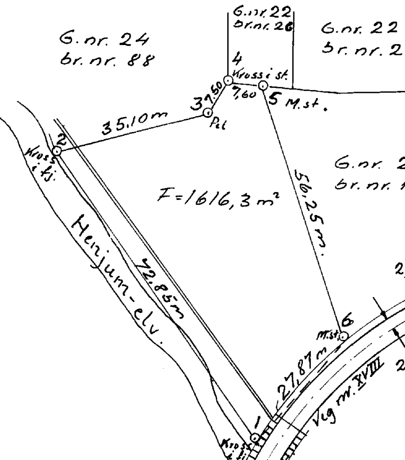
Familien min hadde dei gamle kart- og oppmålings- samt skyldelingsforretningane for tomta og nabotoma i vest frå henholdsvis 1964 og 1965:


På den tida var tomta gnr/bnr 22/26 mindre enn i dag. 153 kvm, eller litt større enn huset på den tida. Austveggen på huset, utan seinare tilbygg, stod i eller tett mot austgrensa. Legg merke til at det på oppmålinga frå 1964 for tomta til barndomsheimen min er det 6,32 m frå grensa i aust for gnr/bnr 22/26. På nabotomta si oppmåling er det målt 7,60 m frå vestre grense for gnr/bnr 22/26. Noko stemte ikkje og ein måtte be kommunen om ny oppmåling.
Eit anna moment som vart oppdaga i løpet av prosessen var at det i oppmålinga frå 1964 var notert arealet på barndomseigedomen.
Basert på grensene som var oppført i det digitale kartet skulle eigedomen vere på 1549 kvm, 170 kvm større enn oppgitt i 1964.
Kommunen utførte ny oppmåling basert på grensemerker/-steinar og ein avdekka avvik. Ei oppmåling kostar i underkant av kr 10 000. Dårleg overføring frå gamle kartoppmålingar synes eg ikkje burde lastast eigar. Eg meinte rekninga burde kommunen eller kartverket ta, men kom ikkje langt med den. Her er svaret frå kommunen ved teknisk sjef. Eg har utheva nokre liner som kan vere nyttig lærdom for andre som kjøper eldre eigedomar:
Hei
Dette er nok ei heilt vanleg sak om grenser i matrikkelen som avvik i høve til dei faktiske grensene i marka. I matrikkelen er grenser kodet med nøyaktighet. Nøyaktighet på grenselinjene er satt ut ifrå korleis dei er registrert i matrikkelkartet. Nøyaktigheten vil variere frå hjelpelinje fiktiv (ukjent) til betre enn 10 cm (oppmålt). Unøyaktige grenser i matrikkelen fører og til unøyaktig areal for eigedomane. For denne eigedomen var nøyaktigheten på grensa mot gbnr. 24/128 satt til +/- 5 meter. Grensa mot gbnr. 24/129 hadde ein nøyaktighet på dårlegare enn 5 meter. Grensa mot den kommunale vegen var ei fiktiv hjelpelinje. Unøyaktige grenser er heilt vanleg i matrikkelen og det er ikkje noko krav om at kommunane skal ha eit matrikkelkart kor alle grenselinjer er oppmålt med stor nøyaktighet. I utgangspunktet er det kun grenselinjer som er oppmålt etter 1980 som har stor nøyaktighet.
Det som er veldig viktig er at dei som brukar informasjon frå matrikkelen er klar over dette. Dei fleste (kanskje alle) innsynsprogram i matrikkelen nyttar fargekodar på grenser slik at det skal vere enkelt og sjå kva kvalitet dei ulike grenselinjene har. I denne saka har ein nytta areal direkte frå matrikkelen utan og ta høgde for kvaliteten på dei ulike grenselinjene. Når fleire av grenselinjene for eigedomen er registrert med dårleg kvalitet så kan det diverre få store avvik på arealet som vert berekna. Eigar av gbnr. 24/125 rekvirerte klarlegging av grensene med bakgrunn i at ho meinte at matrikkelført grense mot vest var feil. Ved oppmålingsforretninga påviste partane ei grense som er om lag 2 meter lengre aust enn kva matrikkelkartet viste. Matrikkelført grense hadde ein kvalitet på +/- 5 meter, slik at kodinga i matrikkelen var innanfor det som partane påviste som rett grense.
Som sagt ovanfor må brukarane av matrikkeldata vere klar over at data har ulike kvalitet og at informasjon vert handsama deretter. Kommunen dekkar i utgangspunktet ikkje utgifter til oppmåling av gamle grenser som er kodet med dårlig nøyaktighet i matrikkelen. Kommunane har ingen plikt/krav til å ha eit matrikkelkart kor alle grensene er innmålt med stor nøyaktighet.
Med helsing…
No stemmer det digitale kartet og arelet med kartoppmålinga innafor akseptabel feilmargin.
Råd til seljar og kjøpar
For alle som skal selje eller kjøpe eigedomar, ta ein titt på fargekodinga av grensene i det digitale kartet til Kartverket. Ei lysegrøn line rundt tomta tyder på at grensa er nøyaktig. Dersom grensene har andre fargar enn grønt, vil eg råde om å be om ei ny oppmåling basert på gamal kart- og oppmålings- samt skyldelingsforretning.
Det er surt å basere seg på unøyaktige grenser og seinare oppdage at gjerdet eller garasjen du sette opp, tett mot grensa, må rivast fordi gjerdet eller garasjen står delvis på naboen si tomt.
